觀看原圖
相簿列表
»
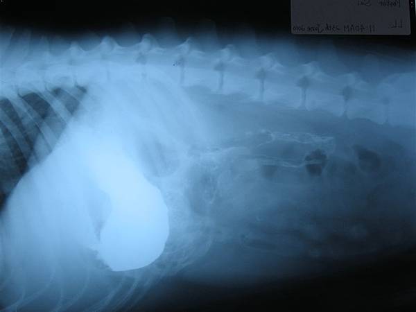
球家小貴客們(伸出援手)
»
需要幫忙狗狗的圖片
下一張
下一張
下一張
下一張
152 of 162
旋轉
設為相片牆主圖
設為相簿封面
編輯標題描述
刪除
標記人臉
新增文字標籤
04.jpg
儲存
取消
語法▼
分享連結
將此連結分享給你的朋友:
複製
此相片未開放下載
PIXNET
Facebook
Yahoo!
Google
MSN
您尚未登入,將以
訪客
身份留言。亦可以上方服務帳號登入留言
訪客身份留言將無法觀看版主回覆,建議您登入之後再留言。
請輸入左方認證碼:
看不懂,換張圖
其他選項
送出留言
Alice
相簿
部落格
留言板
名片
所有相簿
(142)
相片資訊
本日人氣:
0
累積人氣:
0
展開
檔案大小:
99 kb
尺寸:
1024 x 768
相機:
Canon - Canon PowerShot A95
拍攝日期:
2010/06/23 18:10
光圈:
f/4
測光模式:
Pattern
曝光時間:
0.017 s (1/60)
焦距:
9 mm
關閉視窗